Cyclone Update: দুর্যোগের আশঙ্কায় ঘুম উড়েছে গোসাবা ও কুলতলির বাসিন্দাদের ।Bangla News
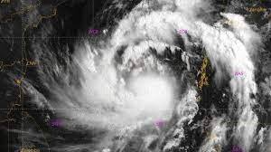
দুর্যোগের আশঙ্কায় সতর্কতামূলক প্রচার চলছে দক্ষিণ ২৪ পরগনার উপকূলবর্তী এলাকাগুলিতে। সতর্ক করা হচ্ছে পর্যটক, মৎস্যজীবীদের। ঘূর্ণিঝড়ের আশঙ্কায় ঘুম উড়েছে এলাকাবাসীর। এদিকে, আজ নদীবাঁধের অবস্থা খতিয়ে দেখলেন গোসাবা ও কুলতলির দুই তৃণমূল বিধায়ক।
Tags :
ABP Ananda South 24 Parganas Cyclone North 24 Parganas Containment Zone ABP Ananda Bengali News ABP Ananda Digital ABP Ananda LIVE এবিপি আনন্দ এবিপি আনন্দ লাইভ North 24 Pargana Cyclone Update Yash Cyclone Cyclone Yash Cyclone Yash Live Yaas Cyclone Cyclone In Bay Of Bengal South 24 Parganas News এবিপি আনন্দ এবিপি আনন্দ লাইভ Cyclone Jawad Cyclone Ashani Asani Cyclone Cyclone Asani Ashani Cyclone Mha On Cyclone Asani Cyclone Yash Latest News New Cyclone In Bay Of Bengal 2021 Cyclone Asani Path